


MARIS as distributed by MLS GRID / Coldwell Banker Brown Realtors / Ashley Crays 0 White Pine Lot 15 Drive Edwardsville, IL 62025
Description
24072074
$604(2023)
2.11 acres
Land
Edwardsville Dist 7
Madison County
Listed By
MARIS
Last checked Apr 4 2026 at 9:33 PM GMT+0000
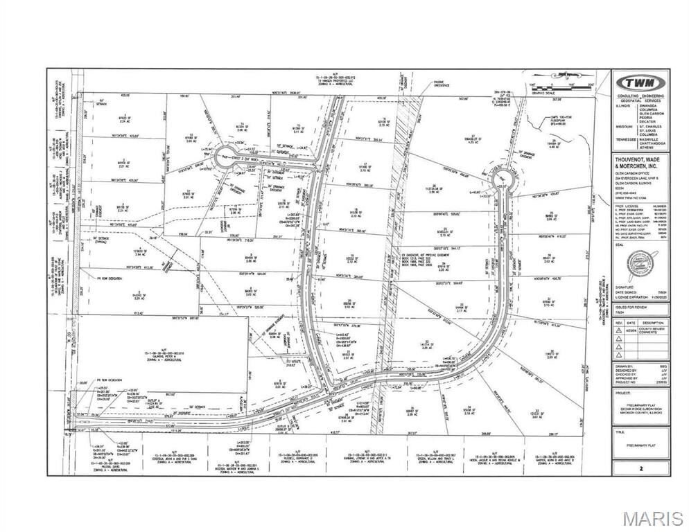
- Cedar Ridge
- Pasture
- Level
- Rolling Slope
- Dues: $600/Annually
- Utilities: Electricity Available, Underground Utilities
- Sewer: Private Sewer
- Elementary School: Edwardsville Dist 7
- Middle School: Edwardsville Dist 7
- High School: Edwardsville
Cedar Ridge will offer top-notch amenities, including asphalt streets, curbs and drainage gutters, streetlights, and sidewalks, ensuring a high-quality living experience for all residents. The project engineer has dubbed it a Cadillac Rural Subdivision of Edwardsville. Don't miss your chance to turn your home-building dreams into reality, contact your favorite agent today! For more information about this development, visit cedarridge.net Additional Rooms: In Platted Subdv.